Home | Feedback | site notice
| Login |
English English
  • DeutschDeutsch
  • EnglishEnglish translated by Mag.a Doris Seebacher
  • FrançaisFrançais traduit par Dr. Patrick Gros
  • MagyarMagyar fordította Mag. Krisztina Juhász
  • EspañolEspañol traducido de Dr. Maria I. Berning
  • PortuguêsPortuguês traducido de Dr. Maria I. Berning
SPECIESPEOPLELITERATUREOCCURRENCES
  • publications

    361 results
  • people

    0 results
  • species

    11 results

publications (361)

    CSV-download
    1234>>>
    • Vergleich der Aedoeagi von Carpelimus nitidus (BAUDI DI SELVE, 1848) und Carpelimus lindrothi…Eberhard Konzelmann, Johannes Reibnitz
      Eberhard Konzelmann, Johannes Reibnitz (2010): Vergleich der Aedoeagi von Carpelimus nitidus (BAUDI DI SELVE, 1848) und Carpelimus lindrothi (PALM, 1943) (Coleoptera, Staphylinidae) mittels zweier Fotoserien – Mitteilungen des Entomologischen Vereins Stuttgart – 45_2010: 79 - 82.
      Reference | PDF
    • Generic reassignments of New World species in the Carpelimus group of genera (Coleoptera:…György Makranczy
      György Makranczy (2018): Generic reassignments of New World species in the Carpelimus group of genera (Coleoptera: Staphylinidae: Oxytelinae) – Koleopterologische Rundschau – 88_2018: 75 - 102.
      Reference | PDF
    • Neu und selten nachgewiesene Käfer aus Baden-Württemberg, Carpelimus gusarovi Gildenkov 1997…Eberhard Konzelmann
      Eberhard Konzelmann (2006): Neu und selten nachgewiesene Käfer aus Baden-Württemberg, Carpelimus gusarovi Gildenkov 1997 (Coleoptera, Staphylinidae) neu für Deutschland. – Mitteilungen des Entomologischen Vereins Stuttgart – 41_2006: 83 - 92.
      Reference | PDF
    • Zur Insektenfauna vom Hanenriet bei Giswil, 470 m, Kanton Obwalden. IV. Coleoptera 2:…Peter Herger, Manfred Uhlig, Jürgen Vogel
      Peter Herger, Manfred Uhlig, Jürgen Vogel (2005): Zur Insektenfauna vom Hanenriet bei Giswil, 470 m, Kanton Obwalden. IV. Coleoptera 2: Staphylinidae. – Entomologische Berichte Luzern – 54: 1 - 10.
      Reference | PDF
    • Hidden in the cracks: new cryptic species of minute moss beetles and rove beetles from…Carles Hernando, Luca Fancello
      Carles Hernando, Luca Fancello (2024): Hidden in the cracks: new cryptic species of minute moss beetles and rove beetles from supralittoral habitats on Sant’Antioco Island (Sardinia, Italy) (Coleoptera: Hydraenidae, Staphylinidae) – Koleopterologische Rundschau – 94_2024: 67 - 77.
      Reference | PDF
    • Beitrag zur Arthropodenfauna der Binnensalzwiesen von Storkow und Philadelphia…Dieter Barndt
      Dieter Barndt (2007): Beitrag zur Arthropodenfauna der Binnensalzwiesen von Storkow und Philadelphia (Brandenburg/Landkreis Oder-Spree) - Faunenanalyse und Bewertung - (Coleoptera, Heteroptera, Auchenorrhyncha, Saltatoria, Araneae, Isopoda u. a.) – Märkische Entomologische Nachrichten – 2007_1: 1 - 54.
      Reference | PDF
    • Checklist der Kurzflügelkäfer (Coleoptera, Staphylinidae) ThüringensWolfgang Apfel
      Wolfgang Apfel (1995): Checklist der Kurzflügelkäfer (Coleoptera, Staphylinidae) Thüringens – Checklisten der Thüringer Insekten – 3: 14 - 39.
      Reference | PDF
    • 173. NachwuchsEberhard Konzelmann
      Eberhard Konzelmann (2010): 173. Nachwuchs – Mitteilungen des Entomologischen Vereins Stuttgart – 45_2010: 82.
      Reference | PDF
    • Aktualisierte Checkliste der Kurzflügelkäfer (Coleoptera: Staphylinidae) ThüringensWolfgang Apfel
      Wolfgang Apfel (2002): Aktualisierte Checkliste der Kurzflügelkäfer (Coleoptera: Staphylinidae) Thüringens – Checklisten der Thüringer Insekten – 10: 19 - 53.
      Reference | PDF
    • Die Käfer Mitteleuropas. Ökologie diverse
      diverse (1993): Die Käfer Mitteleuropas. Ökologie – Die Käfer Mitteleuropas – 4_Oeko_1993: 1 - 384.
      Reference
    • Zur Carabiden- und Staphylinidenfauna von Kies- und Schotterufern im Nord- und Westharz, …Volker Assing, Andreas Hetzel
      Volker Assing, Andreas Hetzel (2021): Zur Carabiden- und Staphylinidenfauna von Kies- und Schotterufern im Nord- und Westharz, Südniedersachsen (Coleoptera) – Entomologische Nachrichten und Berichte – 65: 317 - 326.
      Reference
    • Beitrag zur Kenntnis der Käferfauna des Niederrheinischen Tieflandes in der Umgebung von Kalkar…Gerhard Katschak, Frank Köhler
      Gerhard Katschak, Frank Köhler (1991): Beitrag zur Kenntnis der Käferfauna des Niederrheinischen Tieflandes in der Umgebung von Kalkar und Kleve (Coleoptera) – Mitteilungen der Arbeitsgemeinschaft Rheinischer Koleopterologen – 1: 43 - 58.
      Reference | PDF
    • Alois Kofler (2005): Käfer alsLichtfallen-Beifänge in Lassendorf nw Klagenfurt 1998-1999 (Kärnten) (Insecta, Coleoptera) – Carinthia II – 195_115: 491 - 495.
      Reference | PDF
    • Beiträge zur Faunistik und Ökologie des Naturschutzgebietes „Apfelstädter Ried" (Kreis…Jürgen Vogel
      Jürgen Vogel (1988): Beiträge zur Faunistik und Ökologie des Naturschutzgebietes „Apfelstädter Ried" (Kreis Erfurt-Land), Teil II - Coleoptera: Staphylinidae – Veröffentlichungen des Naturkundemuseums Erfurt (in Folge VERNATE) – 7: 38 - 48.
      Reference | PDF
    • Najmeh Samin, Hong-Zhang Zhou, Sohrab Imani (2011): A contribution to the Oxyteline group of rove beetles (Coleoptera: Staphylinoidea: Staphylinidae) from Iran – Entomofauna – 0032: 277 - 284.
      Reference | PDF
    • Zur Insektenfauna des Flachmoores Wauwilermoos, 498 m, Kanton Luzern. IV. Coleoptera 2:…Manfred Uhlig, Jürgen Vogel, Peter Herger
      Manfred Uhlig, Jürgen Vogel, Peter Herger (2005): Zur Insektenfauna des Flachmoores Wauwilermoos, 498 m, Kanton Luzern. IV. Coleoptera 2: Staphylinidae. – Entomologische Berichte Luzern – 54: 11 - 26.
      Reference | PDF
    • Zur Insektenfauna der Umgebung von Lauerz, Kanton Schwyz. 1. Sägei (455 m) und Schuttwald (480…Manfred Uhlig, Jürgen Vogel, Peter Herger
      Manfred Uhlig, Jürgen Vogel, Peter Herger (2006): Zur Insektenfauna der Umgebung von Lauerz, Kanton Schwyz. 1. Sägei (455 m) und Schuttwald (480 m). VI. Coleoptera 1: Staphylinidae. – Entomologische Berichte Luzern – 55: 21 - 36.
      Reference | PDF
    • Irene Schatz- De Zordo, Karl-Heinz Steinberger, Timo Kopf, Florian Glaser (2003): Die Kurzflügelkäfer (Coleoptera, Staphylinidae) des Frastanzer Riedes und der angrenzenden Illaue (Vorarlberg, Österreich). – Vorarlberger Naturschau - Forschen und Entdecken – 13: 239 - 258.
      Reference | PDF
    • Karl-Heinz Steinberger, Florian Glaser, Timo Kopf, Irene Schatz (2003): Die Kurzflügelkäfer (Coleoptera, Staphylinidae) des Frastanzer Riedes und der angrenzenden Illaue (Vorarlberg, Österreich). – Vorarlberger Naturschau - Forschen und Entdecken – 13: 239 - 258.
      Reference | PDF
    • Beiträge zur Fauna des Kyffhäusergebirges. Teil XVIII: Die Gesamtartenliste der…Matthias Hartmann, Wolfgang Apfel, Jörg Weipert
      Matthias Hartmann, Wolfgang Apfel, Jörg Weipert (2023): Beiträge zur Fauna des Kyffhäusergebirges. Teil XVIII: Die Gesamtartenliste der Kurzflügelkäfer (Insecta: Coleoptera: Staphylinidae) des Kyffhäusers (Thüringen) – Thüringer Faunistische Abhandlungen – 28: 149 - 171.
      Reference | PDF
    • Wenig bekannte Kurzflügelkäfer aus dem Hochschwabgebiet (Col. , Staphylinidae, Micropeplidae)…Andreas Kapp
      Andreas Kapp (1996): Wenig bekannte Kurzflügelkäfer aus dem Hochschwabgebiet (Col., Staphylinidae, Micropeplidae) (3. Beitrag zur Kenntnis der Käfer des Hochschwabgebietes). – Beiblätter zu den Mitteilungen Landesmuseum Joanneum, Zoologie – 9: 1 - 3.
      Reference | PDF
    • Harald Schillhammer (1995): Bemerkenswerte Käferfunde aus Österreich (IV). – Koleopterologische Rundschau – 65_1995: 229 - 232.
      Reference | PDF
    • Lichtfang am Rande einer Großstadt Beitrag zur Käferfauna von Dortmund-Berghofen (Coleoptera)Michael Stiebeiner
      Michael Stiebeiner (2015): Lichtfang am Rande einer Großstadt Beitrag zur Käferfauna von Dortmund-Berghofen (Coleoptera) – Abhandlungen aus dem Westfälischen Provinzial-Museum für Naturkunde – 80_2015: 81 - 107.
      Reference | PDF
    • Erster Nachtrag zur Staphyliniden-Fauna der Oberlausitz (Coleóptera)Jürgen Vogel
      Jürgen Vogel (2017): Erster Nachtrag zur Staphyliniden-Fauna der Oberlausitz (Coleóptera) – Entomologische Nachrichten und Berichte – 61: 59 - 68.
      Reference
    • Ein Beitrag zur Käferfauna des Elbeufers zwischen Aken und HohenwartheManfred Jung
      Manfred Jung (2018): Ein Beitrag zur Käferfauna des Elbeufers zwischen Aken und Hohenwarthe – Entomologische Mitteilungen Sachsen-Anhalt – 26_2018: 3 - 11.
      Reference | PDF
    • Laila Kindl-Stamatopolos (2001): Arthropoden des Wienflußufers im dicht bebauten Stadtgebiet Wiens – Verhandlungen der Zoologisch-Botanischen Gesellschaft in Wien. Frueher: Verh.des Zoologisch-Botanischen Vereins in Wien. seit 2014 "Acta ZooBot Austria" – 138: 1 - 15.
      Reference | PDF
    • Zur Insektenfauna vom Naturschutzgebiet Rüss-Spitz (Kanton Zug), 388 m, bei Maschwanden ZH. …Peter Herger, Manfred Uhlig, Jürgen Vogel
      Peter Herger, Manfred Uhlig, Jürgen Vogel (2003): Zur Insektenfauna vom Naturschutzgebiet Rüss-Spitz (Kanton Zug), 388 m, bei Maschwanden ZH. VI. Coleoptera 2: Staphylinidae. – Entomologische Berichte Luzern – 49: 1 - 12.
      Reference | PDF
    • Zur Insektenfauna von Altdorf und Umgebung, Kanton Uri. 2. Reussdelta bei Seedorf, 435 m. …Manfred Uhlig, Peter Herger, Jürgen Vogel
      Manfred Uhlig, Peter Herger, Jürgen Vogel (2005): Zur Insektenfauna von Altdorf und Umgebung, Kanton Uri. 2. Reussdelta bei Seedorf, 435 m. III. Coleoptera 1: Staphylinidae. – Entomologische Berichte Luzern – 54: 27 - 38.
      Reference | PDF
    • Die Käferfauna (Insecta: Coleoptera) der Kiesteiche bei Sonneberg/Oberlind (Südthüringen, …Helmuth Klima
      Helmuth Klima (2023): Die Käferfauna (Insecta: Coleoptera) der Kiesteiche bei Sonneberg/Oberlind (Südthüringen, Landkreis Sonneberg) – Thüringer Faunistische Abhandlungen – 28: 79 - 88.
      Reference | PDF
    • Beiträge zur Fauna des Kyffhäusergebirges. Teil X: Die Kurzflügelkäfer (Insecta: Coleoptera:…Matthias Hartmann, Wolfgang Apfel, Jörg Weipert
      Matthias Hartmann, Wolfgang Apfel, Jörg Weipert (2021): Beiträge zur Fauna des Kyffhäusergebirges. Teil X: Die Kurzflügelkäfer (Insecta: Coleoptera: Staphylinidae) des NSG „Süd-Ost-Kyffhäuser“ (Kyffhäuserkreis/Thüringen) – Thüringer Faunistische Abhandlungen – 26: 139 - 169.
      Reference | PDF
    • Irene Schatz- De Zordo (1996): Kurzflügelkäfer in Uferzönosen der Lechauen (Nordtirol, Österreich) (Coleoptera, Staphylinidae). – Berichte des naturwissenschaftlichen-medizinischen Verein Innsbruck – 83: 253 - 277.
      Reference | PDF
    • Käferfunde aus den Naturschutzgebieten Pleidelsheimer Wiesental und Altneckar im Kreis…Eberhard Konzelmann
      Eberhard Konzelmann (2010): Käferfunde aus den Naturschutzgebieten Pleidelsheimer Wiesental und Altneckar im Kreis Ludwigsburg 1975-2008 – Mitteilungen des Entomologischen Vereins Stuttgart – 45_2010: 1 - 78.
      Reference | PDF
    • Revision rheinischer Käfernachweise nach dem ersten Supplementband zu den Käfern Mitteleuropas. …Frank Köhler, Paul Wunderle
      Frank Köhler, Paul Wunderle (1993): Revision rheinischer Käfernachweise nach dem ersten Supplementband zu den Käfern Mitteleuropas. Teil II: Staphylinidae, Pselaphidae (Col.) – Mitteilungen der Arbeitsgemeinschaft Rheinischer Koleopterologen – 4: 69 - 107.
      Reference | PDF
    • Die Bodenkäfergesellschaften am Siegentalbach (Alb-Donau-Kreis). Karin Wolf-Schwenninger, Eberhard Konzelmann
      Karin Wolf-Schwenninger, Eberhard Konzelmann (1997): Die Bodenkäfergesellschaften am Siegentalbach (Alb-Donau-Kreis). – Mitteilungen des Entomologischen Vereins Stuttgart – 32_1997: 91 - 102.
      Reference | PDF
    • On the Staphylinidae of the Greek island Corfu (Insecta: Coleoptera)Volker Assing, Michael Schülke, Volker Brachat, Heinrich Meybohm
      Volker Assing, Michael Schülke, Volker Brachat, Heinrich Meybohm (2018): On the Staphylinidae of the Greek island Corfu (Insecta: Coleoptera) – Beiträge zur Entomologie = Contributions to Entomology – 68: 31 - 67.
      Reference | PDF
    • Unpredictable Flood Pulses Govern Beetle Assemblages in the Litter Layer of Hardwood Floodplain…Werner Topp
      Werner Topp (2012): Unpredictable Flood Pulses Govern Beetle Assemblages in the Litter Layer of Hardwood Floodplain Forests. Unvorhersehbare Flutereignisse bestimmen die Käfer- Lebensgemeinschaften in der Laubstreu von Hartholzauen – Entomologie heute – 24: 159 - 182.
      Reference | PDF
    • Käfer (Coleoptera) am Urftstausee im Nationalpark Eifel – Exkursion der Arbeitsgemeinschaft…Frank Köhler
      Frank Köhler (2012): Käfer (Coleoptera) am Urftstausee im Nationalpark Eifel – Exkursion der Arbeitsgemeinschaft Rheinischer Koleopterologen am 16. Juni 2007 – Mitteilungen der Arbeitsgemeinschaft Rheinischer Koleopterologen – 22: 81 - 92.
      Reference | PDF
    • Zur Käferfauna (Col. ) des unteren Saartales und des westlichen Mosel-Saar-Raumes Erste…Frank Köhler
      Frank Köhler (1996): Zur Käferfauna (Col.) des unteren Saartales und des westlichen Mosel-Saar-Raumes Erste Ergebnisse der Pfingstexkursion der Arbeitsgemeinschaft Rheinischer Koleopterologen nach Taben-Rodt vom 6. bis 9. Juni 1996 – Mitteilungen der Arbeitsgemeinschaft Rheinischer Koleopterologen – 6: 217 - 246.
      Reference | PDF
    • Irene Schatz (2004): Die Kurzflügelkäfer (Coleoptera, Staphylinidae) der Etsch-Auen (Südtirol, Italien) - Artenspektrum, Verteilung und Habitatbindung. – Gredleriana – 004: 159 - 202.
      Reference | PDF
    • Untersuchungen zur Käferfauna (Coleoptera) vegetationsarmer, dynamischer Flußufer der Ems…Frank Köhler
      Frank Köhler (2000): Untersuchungen zur Käferfauna (Coleoptera) vegetationsarmer, dynamischer Flußufer der Ems nordwestlich von Münster mit einer allgemeinen Analyse der deutschen Uferkäferfauna – Abhandlungen aus dem Westfälischen Provinzial-Museum für Naturkunde – 62_1_2000: 3 - 44.
      Reference | PDF
    • Kurzflügelkäfer der Ostfriesischen Inseln: unpublizierte Funde, Funddaten sowie Korrekturen… diverse
      diverse (2006): Kurzflügelkäfer der Ostfriesischen Inseln: unpublizierte Funde, Funddaten sowie Korrekturen (Coleoptera, Staphylinidae: excl. Aleocharinae) – 1. Teil – Drosera – 2006: 129 - 156.
      Reference | PDF
    • Käferfunde der Jahre 1990 bis 1992 aus Hessen 5. Bericht der Arbeitsgemeinschaft hessischer…Horst Bathon
      Horst Bathon (1992): Käferfunde der Jahre 1990 bis 1992 aus Hessen 5. Bericht der Arbeitsgemeinschaft hessischer Koleopterologen. Teil 2: Familie Staphylinidae – Hessische Faunistische Briefe – 12: 60 - 64.
      Reference | PDF
    • Faunistisch bemerkenswerte Funde von Kurzflügelkäfern im NSG „Milaseen“ (Dahme-Seengebiet, …Andreas Kleeberg
      Andreas Kleeberg (1999): Faunistisch bemerkenswerte Funde von Kurzflügelkäfern im NSG „Milaseen“ (Dahme-Seengebiet, Brandenburg) (Coleoptera: Staphylinidae) – Märkische Entomologische Nachrichten – 1999_1: 55 - 61.
      Reference | PDF
    • Käfer (Col. , Staphylinidae; Chrysomelidae): Neu- und Wiederfunde in Sachsen-AnhaltWolfgang Gruschwitz
      Wolfgang Gruschwitz (2003): Käfer (Col., Staphylinidae; Chrysomelidae): Neu- und Wiederfunde in Sachsen-Anhalt – Halophila - Mitteilungsblatt – 46_2003: 14.
      Reference | PDF
    • Zur Fauna der Kurzflügelkäfer (Coleóptera, Staphylinidae) des Truppenübungsplatzes Ohrdruf…Wolfgang Apfel
      Wolfgang Apfel (1996): Zur Fauna der Kurzflügelkäfer (Coleóptera, Staphylinidae) des Truppenübungsplatzes Ohrdruf (Thüringen) – Thüringer Faunistische Abhandlungen – 3: 159 - 165.
      Reference | PDF
    • Allgemeiner Teil. Bilanz. Anonymus
      Anonymus (1999): Allgemeiner Teil. Bilanz. – Publikationen Naturschutz Kaernten – 1999_RL: 25 - 73.
      Reference | PDF
    • Review of the Thinodromus signatus species group (Insecta: Coleoptera: Staphylinidae: Oxytelinae)György Makranczy
      György Makranczy (2022): Review of the Thinodromus signatus species group (Insecta: Coleoptera: Staphylinidae: Oxytelinae) – Annalen des Naturhistorischen Museums in Wien – 124B: 93 - 186.
      Reference | PDF
    • Rote Liste der Kurzflügelkäfer Kärntens (Insecta: Coleoptera: Staphylinoidea: Staphylinidae). Lorenz Neuhäuser-Happe
      Lorenz Neuhäuser-Happe (1999): Rote Liste der Kurzflügelkäfer Kärntens (Insecta: Coleoptera: Staphylinoidea: Staphylinidae). – Publikationen Naturschutz Kaernten – 1999_RL: 291 - 346.
      Reference | PDF
    • Coleoptera Westfalica: Familia Staphylinidae Subfamiliae Oxytelinae, Oxyporinae, Steninae, …Heiner Terlutter
      Heiner Terlutter (1995): Coleoptera Westfalica: Familia Staphylinidae Subfamiliae Oxytelinae, Oxyporinae, Steninae, Euaesthetinae, Paederinae – Abhandlungen aus dem Westfälischen Provinzial-Museum für Naturkunde – 57_1_1995: 3 - 84.
      Reference | PDF
    • Die Schutzgebiete der Landeshauptstadt Erfurt (Thüringen). Teil XII: Flora und Fauna des GLB…Ulrich Bößneck [Bössneck], Jörg Weipert
      Ulrich Bößneck [Bössneck], Jörg Weipert (2007): Die Schutzgebiete der Landeshauptstadt Erfurt (Thüringen). Teil XII: Flora und Fauna des GLB "Dreienbrunnen" und dessen unmittelbarer Umgebung – Veröffentlichungen des Naturkundemuseums Erfurt (in Folge VERNATE) – 26: 137 - 166.
      Reference | PDF
    • Alois Kofler (1999): Käfer als Lichtfallen-Begleitfänge in Lassendorf (Kärnten) (Insecta: Coleoptera) – Carinthia II – 189_109: 617 - 630.
      Reference | PDF
    • Zur Käferfauna (Coleoptera) des Ziegelrodaer ForstesManfred Jung, Judith Link, Thomas Glinka
      Manfred Jung, Judith Link, Thomas Glinka (2016): Zur Käferfauna (Coleoptera) des Ziegelrodaer Forstes – Entomologische Mitteilungen Sachsen-Anhalt – 24_2016: 9 - 34.
      Reference | PDF
    • GEO-Tag der Artenvielfalt – eine partielle AuswertungDietmar Spitzenberg
      Dietmar Spitzenberg (2003): GEO-Tag der Artenvielfalt – eine partielle Auswertung – Halophila - Mitteilungsblatt – 46_2003: 14 - 15.
      Reference | PDF
    • Systematischer Index der in den "Mitteilungen" 1966-2001 behandelten Käfer. Horst Knapp
      Horst Knapp (2002): Systematischer Index der in den "Mitteilungen" 1966-2001 behandelten Käfer. – Mitteilungen des Entomologischen Vereins Stuttgart – 37_2002: 3 - 54.
      Reference | PDF
    • Käfer (Coleoptera) aus Fallenfängen in Köln 1994Bernd Franzen
      Bernd Franzen (1996): Käfer (Coleoptera) aus Fallenfängen in Köln 1994 – Decheniana – BH_35: 195 - 214.
      Reference | PDF
    • Untersuchungen zur Käferfauna der Umgebung von Skwierzyna im westlichen Polen (Wielkopolska)Klaus Renner, Jochen Messutat
      Klaus Renner, Jochen Messutat (2007): Untersuchungen zur Käferfauna der Umgebung von Skwierzyna im westlichen Polen (Wielkopolska) – Coleo - Arbeiten und Berichte aus der Coleopterologie – 8: 3 - 27.
      Reference | PDF
    • Kommentierte Artenliste der Kurzflügelkäfer (Col. , Staphylinidae) am ehemaligen Salzigen See…Marita Lübke-Al Hussein
      Marita Lübke-Al Hussein (2004): Kommentierte Artenliste der Kurzflügelkäfer (Col., Staphylinidae) am ehemaligen Salzigen See (Mansfelder Land). – Entomologische Nachrichten und Berichte – 48: 241 - 248.
      Reference | PDF
    • Die Käfer in der Wasserwechselzone der Brugga (Südschwarzwald). Karin Wolf-Schwenninger
      Karin Wolf-Schwenninger (2001): Die Käfer in der Wasserwechselzone der Brugga (Südschwarzwald). – Mitteilungen des Entomologischen Vereins Stuttgart – 36_2001: 113 - 124.
      Reference | PDF
    • Jürgen Vogel (1986): Faunistisch-ökologische Untersuchungen auf dem Neuen Müllberg Leipzig-Möckern. (5. Beitrag: Coleoptera - Staphylinidae) – Entomologische Nachrichten und Berichte – 30: 157 - 165.
      Reference | PDF
    • Supplement to the Staphylinidae fauna of Crete and the Aegean Islands, Greece (Coleoptera)Volker Assing
      Volker Assing (2022): Supplement to the Staphylinidae fauna of Crete and the Aegean Islands, Greece (Coleoptera) – Beiträge zur Entomologie = Contributions to Entomology – 72: 213 - 253.
      Reference | PDF
    • Die Käferfauna ausgewählter naturnaher und anthropogener Binnensalzstellen Nord- und…Heiko Sparmberg, Wolfgang Apfel, Ronald Bellstedt, Matthias Hartmann
      Heiko Sparmberg, Wolfgang Apfel, Ronald Bellstedt, Matthias Hartmann (1997): Die Käferfauna ausgewählter naturnaher und anthropogener Binnensalzstellen Nord- und Mittelthüringens (lnsecta: Coleoptera) – Veröffentlichungen des Naturkundemuseums Erfurt (in Folge VERNATE) – 16: 78 - 137.
      Reference | PDF
    • Die Kurzflügelkäfer (Coleoptera, Staphylinidae excl. Scaphidiinae, Dasycerinae et…Armin Rose
      Armin Rose (2004): Die Kurzflügelkäfer (Coleoptera, Staphylinidae excl. Scaphidiinae, Dasycerinae et Pselaphinae) der Sammlung ‘Georg Kerstens‘, nebst aktualisiertem Verbreitungsstatus aller Arten des Weser-Ems-Gebietes – Drosera – 2004: 137 - 158.
      Reference | PDF
    • Zur Insektenfauna der Umgebung von Baldegg, Kanton Luzern, Baldegg-Institut. IV. Coleoptera 2:…Manfred Uhlig, Peter Herger
      Manfred Uhlig, Peter Herger (1984): Zur Insektenfauna der Umgebung von Baldegg, Kanton Luzern, Baldegg-Institut. IV. Coleoptera 2: Staphylinidae. – Entomologische Berichte Luzern – 11: 33 - 36.
      Reference | PDF
    • Einsatz eines Autokeschers im Ziegelrodaer Forst - Ergebnisse und Bemerkungen zur Methode…Matthias Jentzsch, Thomas Glinka, Judith Link, Burkhard Lehmann
      Matthias Jentzsch, Thomas Glinka, Judith Link, Burkhard Lehmann (2017): Einsatz eines Autokeschers im Ziegelrodaer Forst - Ergebnisse und Bemerkungen zur Methode (Arachnida: Araneae, Pseudoscorpiones; Insecta: Ephemeroptera, Odonata, Hemiptera, Coleoptera, Hymenoptera, Lepidoptera, Mecoptera, Diptera) – Hercynia – 50: 31 - 93.
      Reference | PDF
    • Zur Insektenfauna vom Pilatus-Kulm / 2060 M, Kanton Nidwalden. IV. Coleoptera 2: Staphylinidae. Manfred Uhlig, Peter Herger
      Manfred Uhlig, Peter Herger (1983): Zur Insektenfauna vom Pilatus-Kulm / 2060 M, Kanton Nidwalden. IV. Coleoptera 2: Staphylinidae. – Entomologische Berichte Luzern – 9: 84 - 96.
      Reference | PDF
    • Die Staphyliniden (Coleoptera) der Waldböden und ihre Beeinflussung durch Na-PCPWolfgang Kolbe
      Wolfgang Kolbe (1988): Die Staphyliniden (Coleoptera) der Waldböden und ihre Beeinflussung durch Na-PCP – Jahresberichte des Naturwissenschaftlichen Vereins Wuppertal – 41: 64 - 69.
      Reference | PDF
    • Die Käferfauna (Coleoptera) des Botanischen Gartens in Bonn im langjährigen VergleichTorben Kölkebeck, Thomas Wagner
      Torben Kölkebeck, Thomas Wagner (2007): Die Käferfauna (Coleoptera) des Botanischen Gartens in Bonn im langjährigen Vergleich – Decheniana – 160: 217 - 248.
      Reference | PDF
    • Ergänzungen und Berichtigungen zur Staphylinidenfauna von Sachsen (Coleóptera)Jürgen Vogel
      Jürgen Vogel (2017): Ergänzungen und Berichtigungen zur Staphylinidenfauna von Sachsen (Coleóptera) – Entomologische Nachrichten und Berichte – 61: 19 - 36.
      Reference
    • Zur Insektenfauna der Umgebung der Vogelwarte Sempach, Kanton Luzern. XII Coleoptera 2:…Peter Herger, Manfred Uhlig
      Peter Herger, Manfred Uhlig (1983): Zur Insektenfauna der Umgebung der Vogelwarte Sempach, Kanton Luzern. XII Coleoptera 2: Staphylinidae. – Entomologische Berichte Luzern – 9: 101 - 108.
      Reference | PDF
    • Glimpsing at the rove beetle fauna of Vjosa River, Albania (Coleoptera: Staphylinidae)Gregor Degasperi
      Gregor Degasperi (2018): Glimpsing at the rove beetle fauna of Vjosa River, Albania (Coleoptera: Staphylinidae) – Verhandlungen der Zoologisch-Botanischen Gesellschaft in Wien. Frueher: Verh.des Zoologisch-Botanischen Vereins in Wien. seit 2014 "Acta ZooBot Austria" – 155_1: 307 - 314.
      Reference | PDF
    • Zur Insektenfauna vom östlichen Napfgebiet (Romoos und Umgebung), 700 - 1250 m, Kanton Luzern. …Manfred Uhlig, Peter Herger, Jürgen Vogel
      Manfred Uhlig, Peter Herger, Jürgen Vogel (2007): Zur Insektenfauna vom östlichen Napfgebiet (Romoos und Umgebung), 700 - 1250 m, Kanton Luzern. - II. Coleoptera vom Mittleren Grämsen, 920 - 930 m: 1. Staphylinidae. – Entomologische Berichte Luzern – 57: 33 - 46.
      Reference | PDF
    • Ein unscheinbarer Kiesgrubentümpel - Fundort interessanter Libellen- und KäferartenGünter Stöckel
      Günter Stöckel (1983): Ein unscheinbarer Kiesgrubentümpel - Fundort interessanter Libellen- und Käferarten – Entomologische Nachrichten und Berichte – 27: 215 - 219.
      Reference | PDF
    • Coleoptera species new to Finland (3) (Coleoptera)Tom Clayhills
      Tom Clayhills (2020): Coleoptera species new to Finland (3) (Coleoptera) – Koleopterologische Rundschau – 90_2020: 343 - 348.
      Reference | PDF
    • Thinodromus diffusus (CASEY, 1889) and T. lapsus (CASEY, 1889): partially sympatric sibling…György Makranczy
      György Makranczy (2021): Thinodromus diffusus (CASEY, 1889) and T. lapsus (CASEY, 1889): partially sympatric sibling species? (Coleoptera: Staphylinidae: Oxytelinae) – Koleopterologische Rundschau – 91_2021: 103 - 112.
      Reference | PDF
    • Die Käferfauna der Salzstellen bei Heringen (Insecta: Coleoptera), ein 50-jähriges…Hans-Joachim Flügel, Uli Brenner
      Hans-Joachim Flügel, Uli Brenner (2013): Die Käferfauna der Salzstellen bei Heringen (Insecta: Coleoptera), ein 50-jähriges Gemeinschaftsprojekt der Arbeitsgemeinschaft Hessischer Koleopterologen – Mitteilungen des Internationalen Entomologischen Vereins – 38_2013: 119 - 165.
      Reference | PDF
    • Zur Kurzflüglerfauna der Schweiz (Coleoptera: Staphylinidae). Manfred Uhlig, Barbara Uhlig, Jürgen Vogel, Peter Herger
      Manfred Uhlig, Barbara Uhlig, Jürgen Vogel, Peter Herger (2006): Zur Kurzflüglerfauna der Schweiz (Coleoptera: Staphylinidae). – Entomologische Berichte Luzern – 56: 21 - 64.
      Reference | PDF
    • Die Käfer (Insecta, Coleoptera exkl. Carabidae) des Truppenübungsplatzes Haltern-Borkenberge…Heinrich Terlutter, Armin Rose, Klaas Reißmann, Karsten Hannig
      Heinrich Terlutter, Armin Rose, Klaas Reißmann, Karsten Hannig (2009): Die Käfer (Insecta, Coleoptera exkl. Carabidae) des Truppenübungsplatzes Haltern-Borkenberge (Kreise Coesfeld und Recklinghausen) – Abhandlungen aus dem Westfälischen Provinzial-Museum für Naturkunde – 71_3_2009: 309 - 334.
      Reference | PDF
    • Die Käfer (Coleoptera) des Naturdenkmals „Trockenrasen“ in TattendorfRudolf Schuh
      Rudolf Schuh (2019): Die Käfer (Coleoptera) des Naturdenkmals „Trockenrasen“ in Tattendorf – Biodiversität und Naturschutz in Ostösterreich – 4: 145 - 156.
      Reference | PDF
    • Die Käfer (Coleoptera) des Naturdenkmals „Trockenrasen“ in TattendorfRudolf Schuh
      Rudolf Schuh (2019): Die Käfer (Coleoptera) des Naturdenkmals „Trockenrasen“ in Tattendorf – Biodiversität und Naturschutz in Ostösterreich – 4: 145 - 156.
      Reference | PDF
    • Kurzflügelkäfer (Col. ; Staphylinidae) an Totholz schleswig-holsteinischer WälderUlrich Irmler, Kai Heller, Jörg Warning
      Ulrich Irmler, Kai Heller, Jörg Warning (1995-1999): Kurzflügelkäfer (Col.; Staphylinidae) an Totholz schleswig-holsteinischer Wälder – Faunistisch-Ökologische Mitteilungen – 7: 307 - 318.
      Reference | PDF
    • Die Käferfauna (Coleoptera) des Naturschutzgebietes Gronenborner Teiche in LeverkusenFrank Köhler, Helmut Kinkler
      Frank Köhler, Helmut Kinkler (2010): Die Käferfauna (Coleoptera) des Naturschutzgebietes Gronenborner Teiche in Leverkusen – Mitteilungen der Arbeitsgemeinschaft Rheinischer Koleopterologen – 20: 38 - 80.
      Reference | PDF
    • Das Artenspektrum der Kurzflügler (Coleoptera, Staphylinidae) in 2 ausgewählten Forstbiotopen. …Wolfgang Kolbe
      Wolfgang Kolbe (1992): Das Artenspektrum der Kurzflügler (Coleoptera, Staphylinidae) in 2 ausgewählten Forstbiotopen. Ergebnisse aus dem Burgholz-Projekt 1978 bis 1990 – Jahresberichte des Naturwissenschaftlichen Vereins Wuppertal – 45: 17 - 23.
      Reference | PDF
    • 222. (Col. div. ) - Zur Käferfauna von Schleswig-Holstein, Hamburg und Nord-Niedersachsen. …Stephan Gürlich, Heinrich Meybohm, Wolfgang Ziegler
      Stephan Gürlich, Heinrich Meybohm, Wolfgang Ziegler (1989-2002): 222. (Col. div.) - Zur Käferfauna von Schleswig-Holstein, Hamburg und Nord-Niedersachsen. Bericht der koleopterologischen Sektion für das Jahr 2009 – BOMBUS - Faunistische Mitteilungen aus Nordwestdeutschland – 3: 353 - 360.
      Reference | PDF
    • Alois Kofler, Christian Wieser (2000): Ergebnisse zweier Lichtfallen in Ferlach und Ressnig im Rosental (Insecta: Coleoptera, Lepidoptera) – Carinthia II – 190_110: 617 - 633.
      Reference | PDF
    • Second contribution to the knowledge of the rove beetles (Coleoptera: Staphylinidae) of Val di Non…Adriano Zanetti
      Adriano Zanetti (2015): Second contribution to the knowledge of the rove beetles (Coleoptera: Staphylinidae) of Val di Non / Nonstal (Trentino / Südtirol, Italy) – Gredleriana – 015: 77 - 110.
      Reference | PDF
    • Helmuth Klima (1985): Seltene und faunistisch bemerkenswerte Staphylinidae (Coleoptera) aus Thüringen. – Entomologische Nachrichten und Berichte – 29: 189 - 198.
      Reference | PDF
    • Zur Kurzf1üglerfauna des NSG "Lange Danmwiesen und Unteres Annatal" bei Strausberg, Bezirk…Michael Schülke
      Michael Schülke (1990): Zur Kurzf1üglerfauna des NSG "Lange Danmwiesen und Unteres Annatal" bei Strausberg, Bezirk Frankfurt/Oder (Coleoptera, Staphylinidae) – NOVIUS - Mitteilungsblatt der Fachgruppe Entomologie im NABU Landesverband Berlin – 9: 175 - 191.
      Reference | PDF
    • Ein Beitrag zur Käferfauna des NSG Greifenhainer Fließ und des NSG Koseimühlenfließ…Richard Eichler, Andreas Pütz
      Richard Eichler, Andreas Pütz (2000): Ein Beitrag zur Käferfauna des NSG Greifenhainer Fließ und des NSG Koseimühlenfließ südwestlich von Cottbus (Landkreis Spree-Neiße) (Coleoptera) – Märkische Entomologische Nachrichten – 2000_2: 23 - 44.
      Reference | PDF
    • Neue Untersuchungen zur Käferfauna der Wahner Heide, Agger- und Siegaue (Coleoptera) Ergebnisse…Frank Köhler, Jonas Köhler, Karl Hadulla
      Frank Köhler, Jonas Köhler, Karl Hadulla (2017): Neue Untersuchungen zur Käferfauna der Wahner Heide, Agger- und Siegaue (Coleoptera) Ergebnisse der Exkursionen der Arbeitsgemeinschaft Rheinischer Koleopterologen 2011 und 2016 sowie weiterer Projekte. – Mitteilungen der Arbeitsgemeinschaft Rheinischer Koleopterologen – 27: 93 - 134.
      Reference | PDF
    • Zur Käferfauna in Hochwassergenisten in den Flußauen des Rheinlandes (Coleoptera)Frank Köhler
      Frank Köhler (2006): Zur Käferfauna in Hochwassergenisten in den Flußauen des Rheinlandes (Coleoptera) – Mitteilungen der Arbeitsgemeinschaft Rheinischer Koleopterologen – 16: 73 - 104.
      Reference | PDF
    • Zur Insektenfauna vom östlichen Napfgebiet (Romoos und Umgebung), 700-1250 m, Kanton Luzern. -…Manfred Uhlig, Jürgen Vogel, Peter Herger
      Manfred Uhlig, Jürgen Vogel, Peter Herger (2007): Zur Insektenfauna vom östlichen Napfgebiet (Romoos und Umgebung), 700-1250 m, Kanton Luzern. - III. Coleoptera von Neumatt, Unter Änzi und Schwändi: 1. Staphylinidae. – Entomologische Berichte Luzern – 58: 31 - 46.
      Reference | PDF
    • Beitrag zur Arthropodenfauna des Naturparks Dahme-Heideseen (Land Brandenburg) - Faunenanalyse und…Dieter Barndt
      Dieter Barndt (2010): Beitrag zur Arthropodenfauna des Naturparks Dahme-Heideseen (Land Brandenburg) - Faunenanalyse und Bewertung - (Coleoptera, Auchenorrhyncha, Heteroptera, Hymenoptera part., Saltatoria, Diptera part., Araneae, Opiliones, Chilopoda, Diplopoda u.a.) – Märkische Entomologische Nachrichten – 2010_2: 195 - 298.
      Reference | PDF
    • Käfer aus einer Lichtfalle bei Wädenswil, Sandhof, 518 m, Kanton Zürich (Coleoptera). Peter Herger
      Peter Herger (1995): Käfer aus einer Lichtfalle bei Wädenswil, Sandhof, 518 m, Kanton Zürich (Coleoptera). – Entomologische Berichte Luzern – 34: 13 - 18.
      Reference | PDF
    • Aufruf zur Mitarbeit - Faunistik der Käfer von VorarlbergClemens M. Brandstetter, Andreas Kapp
      Clemens M. Brandstetter, Andreas Kapp (1991): Aufruf zur Mitarbeit - Faunistik der Käfer von Vorarlberg – Mitteilungen des Internationalen Entomologischen Vereins – 16_1-2_1991: 85.
      Reference | PDF
    • Über die artenreiche Käferfauna der Senne in Westfalen und des angrenzenden Lippischen WaldesKlaus Renner
      Klaus Renner (2011): Über die artenreiche Käferfauna der Senne in Westfalen und des angrenzenden Lippischen Waldes – Berichte des Naturwissenschaftlichen Verein für Bielefeld und Umgegend – 50: 167 - 210.
      Reference | PDF
    • Faunistik der Käfer von Vorarlberg - Aufruf zur MitarbeitClemens M. Brandstetter, Andreas Kapp
      Clemens M. Brandstetter, Andreas Kapp (1990): Faunistik der Käfer von Vorarlberg - Aufruf zur Mitarbeit – Rundschreiben der Arbeitsgemeinschaft Rheinischer Koleopterologen – 1990: 31.
      Reference | PDF
    • Am Ziegenberg bei Paderborn nachgewiesene Käferarten und ihre Einstufung in die…Klaus Renner
      Klaus Renner (1985): Am Ziegenberg bei Paderborn nachgewiesene Käferarten und ihre Einstufung in die Gefährdungskategorien der Roten Listen – Decheniana – 138: 92 - 103.
      Reference | PDF
    • Erwin Holzer (1998): Erstnachweise und Wiederfunde für die Käferfauna der Steiermark (III) (Coleoptera) – Mitteilungen der Abteilung für Zoologie am Landesmuseum Joanneum Graz – 51_1998: 35 - 48.
      Reference | PDF
    • Zur Käferfauna (Col. ) eines Ton- und Sandabbaugebietes im Niederrheinischen TieflandPeter E. Stüben, Edmund Wenzel
      Peter E. Stüben, Edmund Wenzel (1996): Zur Käferfauna (Col.) eines Ton- und Sandabbaugebietes im Niederrheinischen Tiefland – Mitteilungen der Arbeitsgemeinschaft Rheinischer Koleopterologen – 6: 135 - 183.
      Reference | PDF
    • Die Käfer des Naturschutzgebietes „Heiliges Meer"Heinz-Otto Rehage
      Heinz-Otto Rehage (2003): Die Käfer des Naturschutzgebietes „Heiliges Meer" – Abhandlungen aus dem Westfälischen Provinzial-Museum für Naturkunde – 65_1-2_2003: 203 - 246.
      Reference | PDF
    1234>>>

    people (0)

      CSV-download

      No result.

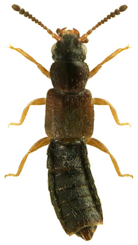
      Species (11)

        • Metazoa Arthropoda Insecta Coleoptera Carpelimus
          Carpelimus rivularis
          find out more
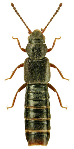
        • Metazoa Arthropoda Insecta Coleoptera Carpelimus
          Carpelimus bilineatus
          find out more
        • Metazoa Arthropoda Insecta Coleoptera Carpelimus
          Carpelimus corticinus
          find out more
        • Metazoa Arthropoda Insecta Coleoptera Carpelimus
          Carpelimus gracilis
          find out more
        • Metazoa Arthropoda Insecta Coleoptera Carpelimus
          Carpelimus lindrothi
          find out more
        • Metazoa Arthropoda Insecta Coleoptera Carpelimus
          Carpelimus impressus
          find out more
        • Metazoa Arthropoda Insecta Coleoptera Carpelimus
          Carpelimus nitidus
          find out more
        • Metazoa Arthropoda Insecta Coleoptera Carpelimus
          Carpelimus obesus
          find out more
        • Metazoa Arthropoda Insecta Coleoptera Carpelimus
          Carpelimus pusillus
          find out more
        • Metazoa Arthropoda Insecta Coleoptera Staphylinidae Carpelimus
          Carpelimus halophilus Kies.
          find out more
        • Metazoa Arthropoda Insecta Coleoptera Staphylinidae Carpelimus
          Carpelimus transversicollis Schp.
          find out more

        | Privacy notice | site notice | powered by IS © 2014-2026